TRANSMITIMOS POR LAS FRECUENCIAS

99.5 | 107.9 FM

1140 | 1150 | 1160 KHZ AM

ESCUCHE AQUÍ LAS EMISORAS DEL SISTEMA RADIAL GRANMENSE

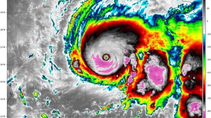
Huracán Melissa azotará esta noche a Jamaica y mañana a Cuba

Washington-. A seis kilómetros por hora (km/h) avanza hoy el huracán Melissa rumbo a Jamaica con vientos máximos sostenidos de 260 (km/h) para azotar esta noche a Jamaica y mañana el este de Cuba.

Melissa ahora es un huracán categoría 5, advierte el boletín del Centro Nacional de Huracanes, al calificar sus vientos de destructivos, con marejadas ciclónicas e inundaciones catastróficas. Ubicado a 205 km al sur-suroeste de Kingston, Jamaica, y a 505 km al sur-suroeste de la oriental provincia de Guantánamo, Cuba, se espera que se mueva cerca o sobre Jamaica esta noche, el martes, en el sureste de Cuba y en todo el sureste de Bahamas el miércoles.

La institución pronostica que se esperan lluvias de 15 a 30 pulgadas en partes de Jamaica y lluvias adicionales de 8 a 16 pulgadas para el sur de La Española hasta el miércoles, con máximos locales totales de tormenta de 40 pulgadas posibles.

Para el este de Cuba, se prevén precipitaciones totales de 10 a 15 pulgadas, con cantidades locales de 20 pulgadas desde hoy hasta el miércoles, lo que resulta en un destello potencialmente mortal y catastrófico. Ocurrirán inundaciones con numerosos deslizamientos de tierra.

RECOMENDAMOS LEER |  Reportan varios sismos de más de cinco grados en Latinoamérica