TRANSMITIMOS POR LAS FRECUENCIAS

99.5 | 107.9 FM

1140 | 1150 | 1160 KHZ AM

ESCUCHE AQUÍ LAS EMISORAS DEL SISTEMA RADIAL GRANMENSE

Melissa se convirtió en huracán de categoría cuatro

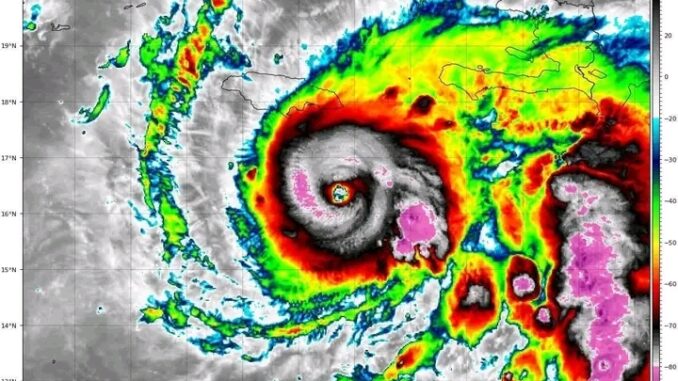
La Habana.- El huracán Melissa se convirtió hoy en un huracán categoría cuatro en la escala Saffir-Simpson, de un máximo de cinco, con vientos máximos sostenidos de 220 kilómetros por hora, y rachas superiores.

El fenómeno tuvo una rápida intensificación al sudeste de Jamaica durante las últimas 12 horas y su presión central descendió hasta 944 hectoPascal, según un aviso de ciclón tropical del Centro de Pronósticos del Instituto de Meteorología (Insmet) de Cuba.

A las 06:00, hora local, la región central del huracán Melissa fue estimada en los 16.3 grados de latitud Norte y los 76.4 grados de longitud Oeste, posición que lo sitúa a unos 180 kilómetros al sur-sudeste de Kingston, Jamaica y a 415 kilómetros al sur de la ciudad de Santiago de Cuba.

Melissa se mueve con un rumbo próximo al oeste y posee una velocidad de traslación de siete kilómetros por hora.

En las próximas horas este sistema estará desplazándose lentamente en las cercanías de Jamaica.

Los especialistas del Insmet prevén que este poderoso huracán continúe su lento movimiento hacia el oeste y luego gire gradualmente al norte y nordeste en los próximos días para transitar muy cerca o sobre Jamaica, y se aproximará el martes al territorio cubano por los mares al sur de la región oriental de la mayor de las Antillas.

El Centro de Pronósticos del Instituto de Meteorología mantiene una estrecha vigilancia sobre la evolución y futura trayectoria de este huracán de gran intensidad, pues las bandas externas de este sistema incrementarán gradualmente los nublados y las precipitaciones en la región oriental de Cuba.

A partir de este domingo se iniciarán fuertes marejadas en los mares al sur de las provincias cubanas de Granma, Santiago de Cuba y Guantánamo.

RECOMENDAMOS LEER |  Reconocen labor de miembros del Contingente SOMOS ECIE (+ fotos)