TRANSMITIMOS POR LAS FRECUENCIAS

99.5 | 107.9 FM

1140 | 1150 | 1160 KHZ AM

ESCUCHE AQUÍ LAS EMISORAS DEL SISTEMA RADIAL GRANMENSE

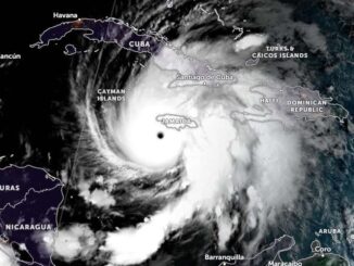
Huracán Melissa aumentó velocidad y tocará en breve a Jamaica

28 octubre 2025 Por Prensa Latina (PL) 0

Washington-. El huracán Melissa se mueve hacia el norte-noreste a 11 kilómetros por hora (km/h) y su núcleo tocará tierra en Jamaica durante las próximas horas, informó el Centro Nacional de Huracanes. Según el pronóstico, después se moverá a través del sureste de Cuba el miércoles por la mañana y a través del sureste o centro de las Bahamas más tarde el miércoles. Los vientos máximos sostenidos son de 280 km/h con vientos más fuertes. Melissa es un huracán de categoría 5 en la cadena Saffir-Simpson y se esperan pocos cambios en la intensidad, advierte la institución. Los vientos con fuerza de huracán se extienden hasta 45 km del centro y de fuerza de tormenta tropical hacia afuera hasta 315 km. El Aeropuerto Internacional de Kingston, Jamaica, reportó un aumento sostenido viento de 69 km/h y una ráfaga de 93 km/h. Alerta la institución que Melissa traerá lluvias de 15 a 30 pulgadas en sitios de Jamaica y lluvias adicionales de seis a 12 pulgadas para el sur de La Española hasta el miércoles, con máximos locales totales de tormenta de 40 pulgadas posibles. También habrá inundaciones repentinas catastróficas y numerosas y es probable que se produzcan deslizamientos de tierra. [leer más…]

1 2